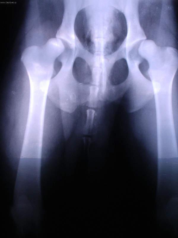
Foto galerie (fotky, obrazky): Ortopedie - DKK

Clanek: Ortopedie - DKK

Diskuze: Ortopedie - DKK


Fotky: Ortopedie - DKK (foto, obrazky)
Dalsi fotka >
Fotky: Ortopedie - DKK (foto, obrazky)Fotky: Ortopedie - DKK (foto, obrazky)Fotky: Ortopedie - DKK (foto, obrazky)




Navigace: A B C Č D E F G H I J K L M N O P Q R Ř S Š T U V W X Y Z Ž VŠE

Podpořte nás · Kontakt· Kniha návštěv · RoboStav
Copyright (c) 2026 by CELÝSVĚT. Všechna práva vyhrazena!
Kontaktní e-mail: celysvet(zav)email.cz



IQ test online

Recepty online

Hry online

Test Jasnovidce

Výukový slovník English
Svátek má  Viola, zítra Filip